• Terrenos Don Miguel 2000m2 - Arbolado

Terreno

Don Miguel, La Barra

Venta USD 220.000

  • Sup.

    1025 m2

En Venta

ID de la propiedad : 291

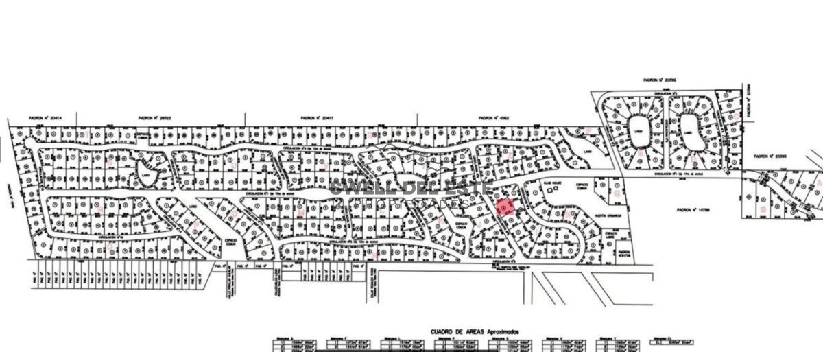
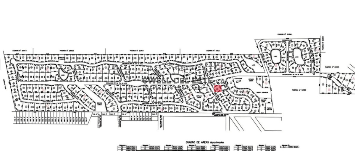
Terreno de 1002 m2 y 1027M2 arbolado en Don Miguel. Posibilidad de comprarlos juntos o separados.

Don Miguel es Barrio privada de campo familiar, ubicado en el corazón de La Barra.

A 10 cuadras de la playa del Posta del cangrejo

Cuenta con seguridad 24 horas y gastos comunes bajos.

Consulte nuestros asesoresau

Características

  • Barrio:  Don Miguel
  • Distancia al Mar :  0
  • Superficie m2 :  1025
  • Frente mts :  30
  • Fondo mts :  30
  • Lateral mts :  33
  • Edificable m2 :  375
  • Esquina :  Si
  • Arbolado :  Si
  • FOT :  38
  • Cantidad Pisos :  0

Ubicación

Don Miguel , La Barra

Solicita mas información

Chatea con nosotros